Papua-Insects.nl

The Papua Insects Foundation

about us:


The Round Necked Longhorn Beetles (Coleoptera: Cerambycidae, Cerambycinae) of Papua Indonesia

by Gerrit Withaar (†)

 

 

 


Thumbnail gallery

(click to go to species pages or to enlarge pictures)

Aeolesthes textor
Aprosictus truncatus
Bethelium monticolum
Callocerambyx hauseri
Ceresium lanuginosum
Ceresium lieftincki
Ceresium virens
Chloridolum dorycum
Chlorophorus angustulus
Chlorophorus luxatus
Coptocercus biguttatus
Coptopterus aquatorius
Coptopterus baliemensis
Coptopterus latus
Coptopterus latus
Dictamnia discalis
Dictamnia rugosa
Diotimana simonthomasi
Examnes phillipensis
Heteroclytomorpha brunnea
Hoplocerambyx spinicornis
Hoplocerambyx spinicornis
Hoplocerambyx spinicornis
Hoplocerambyx spinicornis
Lygesis ornata
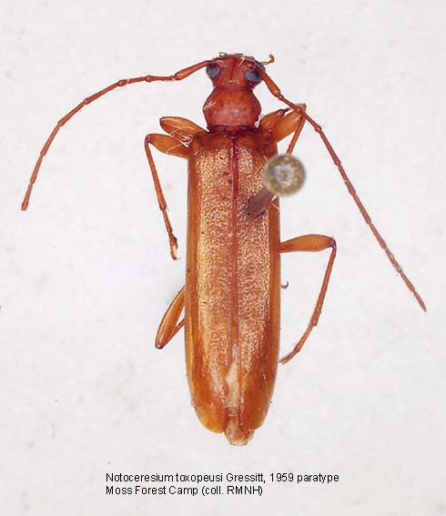
Notoceresium toxopeusi
Perissus x-littera
Piesarthrius frenchi
Purpuricenus quadrinotatus
Raphuma barbouri
Semiope femoralis
Syllitus niger
Syllitus stellamontis
Syllitus stellamontis
Syllitus undulatus
Tethionea strumosa
Tethionea tridentata
Thoris quinqueguttata
Uracanthus stueberi
   
Xylotrechus australis
Xystrocera apiculata
   

 

this page is last modified on 7th January 2013